直播预约 今年第21号台风“康妮”携风带雨影响我国 常年此时登陆我国的台风并不多 “康妮”的路线及强度均为历史同期少见 “康妮”是否登陆我国?对哪里影响最大? 欢迎明天(10月31日)9:00 锁定@中国天气 直播间 带你持续关注台风“康妮”!
记者从浙江海事局了解到,今年第21号台风“康妮”于10月28日14时在北纬17.0°东经128.8°,即距(温州)1479公里的海面上,中心最大风力10级,中心气压为982百帕,移动方向西偏北,移动速度每小时12公里。
来源:【海博TV】点击上方图片,即可报料今年第21号台风“康妮”的中心已于31日14时前后在台湾省台东县成功镇沿海登陆,登陆时由超强台风级减弱为强台风级,中心附近最大风力有15级(48米/秒),中心最低气压945百帕。
来源:中央气象台 “康妮”已登陆我国台湾省台东县沿海将沿闽浙近海北上今年第21号台风“康妮”的中心已于10月31日14时前后在台湾省台东县成功镇沿海登陆,登陆时中心附近最大风力有15级(48米/秒,强台风级)。
今年第21号台风“康妮”10月25日上午在西北太平洋洋面上生成,未来三天将向台湾岛东部海面靠近,最强可达强台风级或超强台风级。预计10月31日穿过台湾岛后转向北到东北方向移动,擦过浙闽沿海,强度逐渐减弱。“康妮”外围环流11月1-2日对青浦区可能造成风雨影响。
中新网福州10月30日电 (记者 龙敏)今年第21号台风“康妮”已增强为超强台风,正加速靠近。福建省防汛办30日通报称,临近11月,福建遭遇台风同期少有,叠加天文大潮和冷暖空气影响,福建省将有明显风、雨、浪、潮影响。
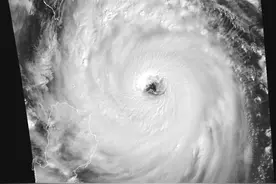
据中国天气消息:台风“康妮”已加强为超强台风级。目前“康妮”台风眼清晰,结构完整。预计,“康妮”强度还将有所增强,将在明天白天以强台风或者超强台风级登陆台湾岛东部沿海,之后穿过台湾岛向浙闽一带沿海靠近。
受台风“康妮”影响,今天(31日)至明天福建沿海海区和渔场有大风;中北部沿海地区有暴雨到大暴雨。目前福建省沿海已陆续出现10级大风。从实时画面可以看到,海岸边风力明显加强,岸边的树木左右摇摆,渔船在渔港中不停摇晃,一些地区已经开始降雨。
今天(10月31日)下午14时前后,台风“康妮”以强台风级别登陆台湾台东县沿海,成为1951年以来10月登陆台湾并列第三强的台风。根据预报,登陆台湾后“康妮”将穿过台湾岛继续北上,路径高度贴合我国东南沿海海岸线,成为“描边大师”,并存在登陆浙闽沿海的可能。
N海都记者 罗丹凌 毛朝青 文/图继续关注台风最新消息据中央气象台台风快讯30日14时台风“康妮”强度等级为超强台风级最大风力17级,60米/秒参考位置距离台湾省台东市东南方向约465公里中央气象台台风网信息显示今天14时台风“康妮”的中心已经接近24小时警戒线从云图上看,目前“
福建省气象台29日17时 将“台风预警”提升至Ⅲ级 台风“康妮”最强可达超强台风级,将于31日在台湾岛东部沿海登陆,并穿过台湾岛向闽浙一带沿海靠近,尔后转向东北方向移动,强度逐渐减弱;不排除登陆或擦过闽浙沿海的可能性。
据市气象台消息今明两天温州多云到晴受台风“康妮”外围环流影响明天夜里起温州有明显降水和沿海大风过程图片来源:温州台风网预计星期四、星期五温州将有较明显降水过程星期四阴有阵雨部分中到大雨局部暴雨夜里到星期五阴有大雨到暴雨另外明天早晨温州气温较低,仅14℃昼夜温差在10℃左右要注意合
中央气象台11月1日06时发布台风黄色预警:今年第21号台风“康妮”的中心已于昨天晚上由台湾省彰化县移入台湾海峡,随后减弱为强热带风暴级,今天早晨4点前后移入东海西南部海面,早晨5点钟其中心位于浙江省温岭市南偏西方向大约290公里的海面上,就是北纬25.9度、东经120.5度,中心附近最大风力有10级,中心最低气压为985百帕,七级风圈半径80-200公里。