台风是怎么形成的?为什么风眼没风?真正的雨水搬运工

视频加载中...

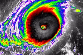
海洋蒸发的水汽,在上升的过程中,遇冷散发出热量,热量聚集形成低压区域,构成台风,风眼中的气流,从地面流入很快速的上升,从台风顶部流入,构成高低差的气压,让风眼成为了一块真空,无风无云

举报